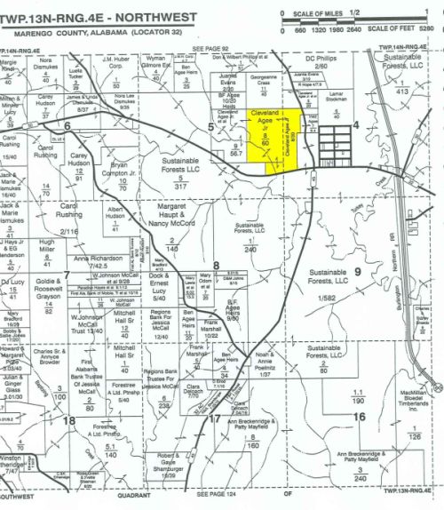
County Road 30
Magnolia, AL

Price: $145,500

Status: Sold
Type: Land
Lot Size: 97 Acres

View Full-size Maps



Great hunting/timber tract located in Magnolia, Alabama with frontage on Marengo County Road 30 & 45. The front portion of the property has been clear cut, but the back of the property is a nice mix of pine and hardwood. Property also has several streams.


  Print Flyer
Email This Property
| BACK |

 
   
Phone: 334-289-8470 | Email: lynn@billmackey.com
© Copyright 2016 Bill Mackey Real Estate. All rights reserved. Design by Agent Image - Real Estate Web Design